U.S. Republican presidential nominee Donald Trump faces a formidable challenge on Wednesday when he and Democrat Hillary Clinton face off in their third and final debate as Trump tries to reverse his standing in an election that appears to be tilting away from him.
Hundreds of people were rescued by boat and helicopter as floodwaters inundated North Carolina towns on Monday in the wake of Hurricane Matthew, and officials warned that life-threatening flooding from swollen rivers would continue for days.
Donald Trump, defiant amid a tide of criticism of his sexually aggressive remarks about women, said Hillary Clinton would go to jail if he were president and attacked her husband for his treatment of women in a vicious presidential debate less than a month before the U.S. election.
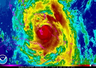
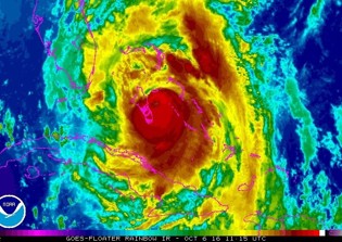
Hurricane Matthew, carrying winds of 120 miles per hour (195 kph), lashed Florida on Friday and cut power to hundreds of thousands of homes as it hugged the state's Atlantic coast on a northward track after killing hundreds of people in Haiti.
Hurricane Matthew, the fiercest Caribbean storm in nearly a decade, slammed into the Bahamas on Thursday and intensified as it barreled toward the southeastern United States after killing at least 39 people, mostly in southern Haiti, on its northward march.
A train crashed through the station in Hoboken, New Jersey during the morning rush hour on Thursday and there were reports of injuries, multiple U.S. media reports said.
Taliban leaders followed the U.S. presidential debate closely but heard nothing on Afghanistan, a spokesman said on Wednesday, adding that they were not impressed by Republican candidate Donald Trump, whom they considered "non-serious".
Running as an anti-establishment candidate, Donald Trump took the presidential debate stage on Monday night to hammer home his call for sweeping political change and try to win over millions of undecided voters.
Dozens of former appointees of the administration of former President George W. Bush announced their support for Republican presidential nominee Donald Trump on Sunday in a bid for party unity ahead of Trump's first debate with Democrat Hillary Clinton.
Residents of Charlotte, North Carolina, woke to a state of emergency on Thursday with National Guard troops deployed on the streets after a second night of violent protests over the fatal police shooting of a black man.
Protesters blocked a highway and clashed with police in Charlotte, North Carolina, early on Wednesday morning after officers fatally shot a black man they said had a gun when they approached him in a parking lot.
LANCASTER, Pa. — Four years in the making, the production “David” opened at Sight & Sound Theatres this year and explores the journey of an unassuming shepherd boy who became a king.
Secular intolerance has a “chilling effect” on Christians who are having to practice “various forms of self-censorship” as they're finding it difficult to express their faith freely in society, according to a new report detailing accounts from four countries.
Gunmen suspected to be Islamic Fulani herdsmen barged into a Catholic Church in southwestern Nigeria, opened fire and detonated explosives while the congregation was celebrating Mass on Pentecost Sunday, killing at least 50 worshipers, including women and children. It's feared that some Christians were also abducted after the attack.
For more than 1,500 days, Nigerian Christian teenager Leah Sharibu has been held captive by the Boko Haram terrorist group as Christians continue to be the target of attacks in the West African nation.